Listing provided courtesy of Jennifer Moreno of VISMAR REAL ESTATE. Last updated . Listing information © 2025 Sandicor.
Asking Price: $65,000 | Active
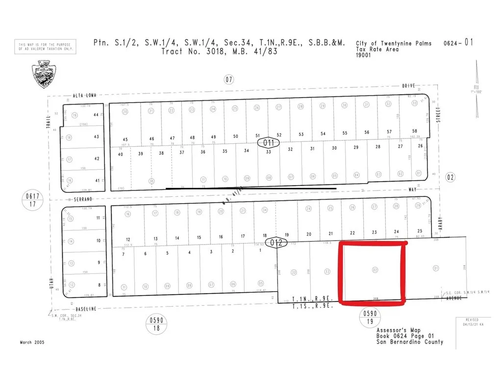
Baseline Ave, 29 Palms CA 92277
Community:
This Lot property was built in and is priced at $65,000. Please see the additional details below.
This .99-acre lot on Baseline Rd in Twentynine Palms offers a versatile opportunity for buyers seeking space and potential in a growing desert community. With utilities nearby and open views of the surrounding landscape, the property is well-suited for building a custom home, creating a private retreat, or holding as a long-term investment. Its location provides convenient access to schools, shopping, and Joshua Tree National Park, adding to its appeal. Whether youre looking to build, develop, or invest for future appreciation, the possibilities are endless. Buyer to verify zoning, subdivision requirements, utilities, and all intended uses with the City of Twentynine Palms and San Bernardino County as part of their due diligence.









