Listing provided courtesy of Jose Contreras of Coldwell Banker Quality Properties. Last updated . Listing information © 2025 Sandicor.
Asking Price: $250,000 | Active
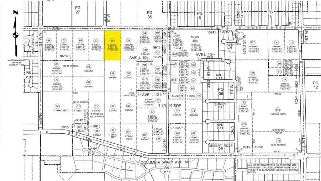
Vac/Ave L8 Pav Vic 37th Stw, Lancaster CA 93534
Community:
This Lot property was built in and is priced at $250,000. Please see the additional details below.
Discover 4.82 acres of residential land ideally located in Lancaster. This parcel offers road frontage and is situated near established residential neighborhoods, retail centers, grocery stores, and daily conveniences. With easy access west of the 14 Freeway, this property provides both convenience and potential. Perfect for developers, investors, or those looking to build in a growing area. Dont miss out on this prime piece of land with endless possibilities!












