Listing provided courtesy of Gregg Cochran of SmokeTree Commercial. Last updated . Listing information © 2025 Sandicor.
Asking Price: $17,550 | Active
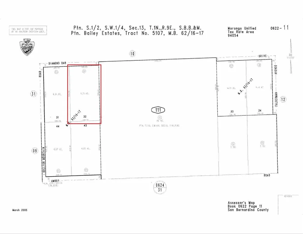
21104 Diamond Bar, 29 Palms CA 92277
Community:
This Lot property was built in and is priced at $17,550. Please see the additional details below.
4.71 Acres of Flat Land in Wonder Valley Ideal for Equestrian or Outdoor Recreation Discover the serenity and wide-open potential of this 4.71-acre flat parcel located on Diamond Bar Road in the peaceful Wonder Valley area of 29 Palms. Just a few hundred feet east of paved Bullion Mountain Road, this property offers easy access while maintaining a sense of seclusion and natural beauty. Zoning: RL (Rural Living) flexible for a variety of uses Potential Uses: Equestrian facilities, camping, off-grid living, outdoor recreation, or a desert retreat Access: Close proximity to paved roads for convenient travel Topography: Flat and buildable, with sweeping desert and mountain views Location: Minutes from Joshua Tree National Park and downtown 29 Palms Nature & Outdoor Adventures Joshua Tree National Park Iconic desert landscapes, hiking, rock climbing, and stargazing (15-20 min. drive) Skull Rock & Heart Rock Unique geological formations perfect for photo ops Ryan Ranch Ruins & Wall Street Mill Historic desert hikes with Gold Rush-era remnants Science & Stargazing Skys The Limit Observatory Outdoor observatory with public star parties and a scale solar system model Some of the darkest skies in the U.S. Ideal for astrophotography and night sky viewing Art & Culture 29 Palms Art Gallery Local and regional artists in a historic adobe building Theatre 29 Community theater with live performances year-round Historic Murals of 29 Palms A self-guided tour of desert history through public art Wellness & Retreats Wonder Valley Hot Springs Natural mineral springs for







